top of page
MasterMap B&W 1:1250 Flex
MapSherpa
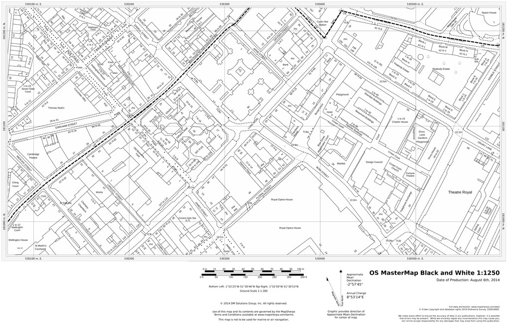
The most detailed and comprehensive map data-set of Great Britain from the Ordnance Survey. Mapping data is updated quarterly so maps are always current. Maps are suitable for Planning applications and Land Registry purposes. Maps can be created in black and white at a flexible scale between 1:420 and 1:1,250.
Buy this map on MapTrove.ca
bottom of page



